Property Detail

Lilac Road

Bonsall CA 92003

$1,949,000

Status: Active

Property Details

Description

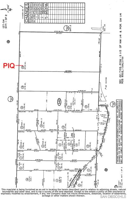
Rare 20-acre agricultural opportunity on Lilac Road in Bonsall. Zoned A70 and located in the unincorporated area of San Diego County, this parcel offers paved main road frontage, electricity on site, and a high-capacity agricultural water system already in place. Previously leased for commercial strawberry production by Marie Callender's, the property has a history of productive farming use. Approximately 1 mile from Bonsall High School and about 6-7 miles to the Interstate 15 corridor, the location provides a blend of rural privacy with convenient access to major transportation routes. Zoned A70 with potential for agricultural use and residential development subject to county approval. Buyer to verify zoning, lot split potential, utilities, and all development possibilities with San Diego County. A unique opportunity for growers, investors, estate home builders, or land bankers seeking North County acreage with infrastructure in place. provides a blend of rural privacy with convenient access to major transportation routes. Zoned A70 with potential for agricultural use and residential development subject to county approval. Buyer to verify zoning, lot split potential, utilities, and all development possibilities with San Diego County. A unique opportunity for growers, investors, estate home builders, or land bankers seeking North County acreage with infrastructure in place.

Map Location

Listing provided courtesy of Kyle Craig of NICK TAYLOR ENT.. Last updated 2026-02-19 09:21:18.000000. Listing information © 2025 CRMLS.

Steele Realty Group

Steele Realty Group

Real estate https://static.royacdn.com/Site-4f49a9be-20f3-4cec-be58-b7dc6a64d2f5/homepage_images/Screenshot_2021_07_16_161602.jpg realtor # # https://static.royacdn.com/Site-4f49a9be-20f3-4cec-be58-b7dc6a64d2f5/homepage_images/Screenshot_2021_07_16_161602.jpg