Property Detail

Buena Vista

Gilroy CA 95020

$1,799,999

Status: Active

Property Details

Description

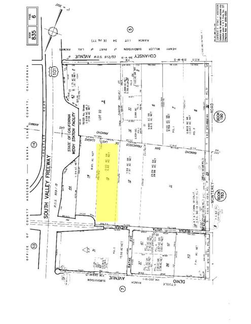
9.82-acre level agricultural parcel in North Gilroy (APN: 835-06-013). Currently in row crop production and zoned A-20A. Located between Highway 101 and Monterey Highway, the site is positioned in an evolving corridor near established industrial and residential developments. Infrastructure includes an on-site well, Valley Water District service, PG&E at the street, and an existing agricultural storage structure. Highly accessible location near local railway, transit hubs, and the High-Speed Rail project currently under construction. This property offers immediate agricultural utility within a major regional infrastructure growth path.

Map Location

Listing provided courtesy of Grant Gluhaich of Intero Real Estate Services. Last updated 2026-02-14 09:22:02.000000. Listing information © 2025 CRMLS.

Steele Realty Group

Steele Realty Group

Real estate https://static.royacdn.com/Site-4f49a9be-20f3-4cec-be58-b7dc6a64d2f5/homepage_images/Screenshot_2021_07_16_161602.jpg realtor # # https://static.royacdn.com/Site-4f49a9be-20f3-4cec-be58-b7dc6a64d2f5/homepage_images/Screenshot_2021_07_16_161602.jpg