Property Detail

13150 Clarksburg

Santa Margarita CA 93453

$10,000

Status: Active

Property Details

Description

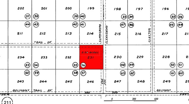
2.5 Acres NORTHERN CORNER Lot = 2 HOMES with 2 POWER POLES on a MAINTAINED Road only 350 feet North of Belmont Trial, for VERY easy access. There are wonderful views of the nearby West Hills. Hunting in BLM property. Area allows for off road driving or motorcycles. Bring your horses, cows, goats. Great for a getaway or build your dream home. Manufactured homes okay. Note: Google Map Street name misspelled. Correct spelling is Clarksburg. Address Number ESTIMATED-USE MAPS FROM AGENT or YOU WILL GET LOST 35.308992, -119.943272 APN 083-191-056

Map Location

Listing provided courtesy of David Norwood of David Norwood Central Coast Real Estate. Last updated 2026-04-03 08:21:45.000000. Listing information © 2025 CRMLS.

Steele Realty Group

Steele Realty Group

Real estate https://static.royacdn.com/Site-4f49a9be-20f3-4cec-be58-b7dc6a64d2f5/homepage_images/Screenshot_2021_07_16_161602.jpg realtor # # https://static.royacdn.com/Site-4f49a9be-20f3-4cec-be58-b7dc6a64d2f5/homepage_images/Screenshot_2021_07_16_161602.jpg