Property Detail

10400 W Avenue B

Antelope Acres CA 93536

$17,500

Status: Active

Property Details

Description

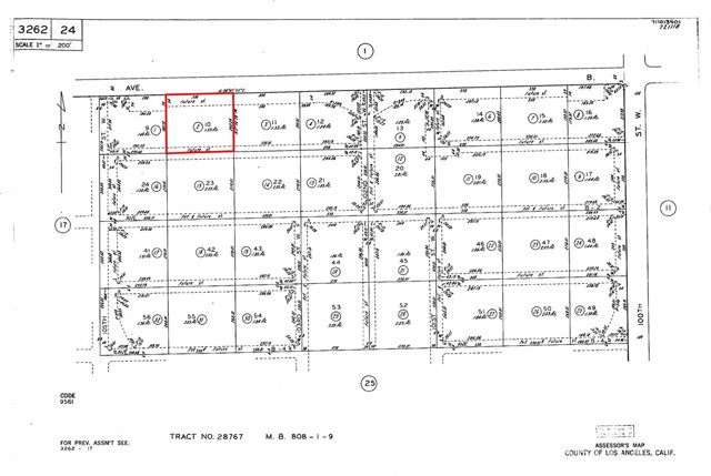
Excellent opportunity to own a flat, usable 2.17-acre parcel, APN: 3262-024-002, Los Angeles County, with paved road frontage on West Avenue B. The property features approximately 328 feet of frontage and 287 feet of depth, creating a desirable rectangular layout that maximizes usability and flexibility. Located just one parcel east of 105th Street West in the Lancaster area, this level lot offers easy access and strong potential for future development or long-term investment. A rare chance to secure acreage with road access in a growing high-desert market. The property is located directly across the street from: 10455 W Avenue B, Lancaster, CA 93536. The Northwest corner coordinates: 34.805236, -118.316126.

Map Location

Listing provided courtesy of Scott Vu of Nexus Commercial. Last updated 2026-02-03 09:22:08.000000. Listing information © 2025 CRMLS.

Steele Realty Group

Steele Realty Group

Real estate https://static.royacdn.com/Site-4f49a9be-20f3-4cec-be58-b7dc6a64d2f5/homepage_images/Screenshot_2021_07_16_161602.jpg realtor # # https://static.royacdn.com/Site-4f49a9be-20f3-4cec-be58-b7dc6a64d2f5/homepage_images/Screenshot_2021_07_16_161602.jpg