Property Detail

2400 Ramona Road

Atascadero CA 93422

$1,085,000

Status: Active

Property Details

Description

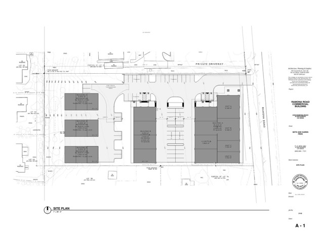
Incredible Development Opportunity – 2 Acres with Highway 101 Visibility Flat and usable 2-acre parcel in prime North Atascadero that is already seeing dynamic new development activity and infrastructure investment. Seconds from the Del Rio bridge across the highway from new development (Valley Fresh) and on the same side of highway as the upcoming Barrel Creek Project on Del Rio. With approx. 200 feet of frontage along the well-traveled corridor with excellent visibility from Highway 101, this parcel offers outstanding exposure for future commercial or mixed-use development. Just minutes from Templeton and surrounded by exciting new development, this site is ideally situated for long-term investment or near-term development. The City of Atascadero has included this parcel in its General Plan Update, with proposed rezoning to “Mixed Use”, a forward-thinking designation aimed at boosting economic growth, creativity, and flexible land use . General Plan Update anticipated Q2 2026 – buyer to verify. Sellers have completed a Topographic Survey and have conceptual drawings for a 36,000+ sq ft mixed-use project featuring 4 office units, 8 light industrial/commercial units, and 3 residential tri-plexes. Parcel dimensions approx. 200’ x 440’. Seller financing available with approx. 50% down, an incredible opportunity to secure this premier parcel with flexible terms. Don’t miss this rare opportunity to invest in one of the Central Coast’s most promising growth areas.

Map Location

Listing provided courtesy of Seth Peek of Peek Realty. Last updated 2026-04-03 08:23:06.000000. Listing information © 2025 CRMLS.

Steele Realty Group

Steele Realty Group

Real estate https://static.royacdn.com/Site-4f49a9be-20f3-4cec-be58-b7dc6a64d2f5/homepage_images/Screenshot_2021_07_16_161602.jpg realtor # # https://static.royacdn.com/Site-4f49a9be-20f3-4cec-be58-b7dc6a64d2f5/homepage_images/Screenshot_2021_07_16_161602.jpg